当前位置:首页 > 娱乐星闻

成贵高铁线路图 成贵高铁大方站乘客及车辆通行路线方案

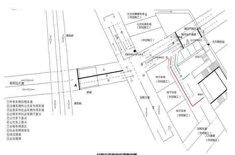
一、车辆交通计划

车辆临时交通路线图

1.A为车辆分流点,A右车道安装锥形斗式护栏,将将军山大道分隔成三条车道;其中:所有车辆返回车道、过境车辆和公共交通车辆专用车道、社会车辆和租赁车辆专用车道。

2.在桥头堡设立导流引导卡。右边车道是公交和出租车车道,左边车道是社会公交车辆车道,B是城市地下通道。在左侧通道增加一个水码屏障,将左侧通道分隔成双向车道。左侧为所有车辆的返回车道,右侧为中转车道;右侧通道安装锥形桶形护栏,分隔出170米长的公交候车区,可停放至少12辆公交车。为公交落客点。

3.c为临时公交站,长50米,宽11米,可临时停放4辆公交车。公共汽车的上车点。

4.E为出租车和社会车辆的转弯区域,在E内安装锥形斗式护栏,将其分隔成双向车道,可临时停放14辆车。出租车和社交车辆的停靠点。

5.F区是出租车和社会车辆的等候区,F区通过安装锥形斗式护栏分隔成双向车道。右车道安装锥形斗式护栏,将长度为500米的出租车等候区与社会车辆等候区隔开。是社会车辆的等候区,至少可以停放140辆车。是出租车辆的等候区,至少可以停放70辆车。

公共汽车交通方案

公交车通过将军山大道进入A,直行到达B;下车后,乘客驶入C区,通过左车道掉头。

的士交通计划

出租车通过将军山大道进入A,右转进入E,直行右转,然后掉头直行。下车后车辆可选择直行进入F出租车和社会车辆等候区或左转进入将军山大道返回车道进行返回。进入F出租车和社会等候区后,车辆通过左车道到达路的尽头,转入出租车等候区。

社会车辆交通计划

社交大巴通过将军山大道进入A,右转进入E,直行右转。转了一圈之后,就一直往前走。下车后车辆可选择直行进入F出租车和社会车辆等候区或左转进入将军山大道返回车道进行返回。进入F出租车和社交等候区后,车辆通过左车道到达路的尽头,掉头进入社交等候区。

二.旅客出入境计划

进站方案:公交车乘客下车后,可通过公交落客点右侧临时进出通道直接进站;出租车和社会车辆的乘客下车进入城市地下通道。步行约170米后,到达临时出入口通道,经入口通道直接到达高铁站入口。

出站方案:旅客通过高铁车站出口出站后,走进临时进出通道,通过右侧出站通道进入城市地下通道。临时进出通道右侧为临时汽车站;乘客自己选择需要乘坐的公交车。乘坐出租车和社会车辆的乘客在临时公交站通过人行道到达城市地下通道左侧,左转步行170米到达D城市地下通道与将军山大道交叉口,然后右转到达出租车和社会车辆的候车点。

三、高峰应急临时预案

现场人员引导:在客流高峰期间,增加现场管控和引导人员,帮助滞留旅客快速有序进出车站,减少地铁之间的滞留时间空。

增加交通走廊:节假日交通量过大时,在城市地下通道天井至乘车点的通道上设置交通走廊,加快客流流动,引导乘客有序排队进出车站。

资料来源:大方县人民政府办公室

1.《成贵高铁线路图 成贵高铁大方站乘客及车辆通行路线方案》援引自互联网,旨在传递更多网络信息知识,仅代表作者本人观点,与本网站无关,侵删请联系页脚下方联系方式。

2.《成贵高铁线路图 成贵高铁大方站乘客及车辆通行路线方案》仅供读者参考,本网站未对该内容进行证实,对其原创性、真实性、完整性、及时性不作任何保证。

3.文章转载时请保留本站内容来源地址,https://www.lu-xu.com/yule/1644036.html

上一篇

女人长期喝牛奶的危害 女人经常喝牛奶好处多!

下一篇

福州衣柜 你听说过最近流行的衣柜整理师吗?如今在福州出现啦!一个月赚多少你知道吗?

遵义一车辆坠河母亲托举救子 却无力自救 危急时刻……

遵义一车辆坠河母亲托举救子 却无力自救 危急时刻……

遵义一车辆坠河母亲托举救子,却无力自救,危急时刻……...

成贵高铁线路图 成贵高铁什么时候开通?成贵高铁线路图

  • 成贵高铁线路图 成贵高铁什么时候开通?成贵高铁线路图
  • 成贵高铁线路图 成贵高铁什么时候开通?成贵高铁线路图
  • 成贵高铁线路图 成贵高铁什么时候开通?成贵高铁线路图

成贵高铁什么时候通车 成贵高铁什么时候开通?成贵高铁线路图

  • 成贵高铁什么时候通车 成贵高铁什么时候开通?成贵高铁线路图
  • 成贵高铁什么时候通车 成贵高铁什么时候开通?成贵高铁线路图
  • 成贵高铁什么时候通车 成贵高铁什么时候开通?成贵高铁线路图

幸福单车 厦门普通单车能否上空中自行车道?最强攻略来了——

  • 幸福单车 厦门普通单车能否上空中自行车道?最强攻略来了——
  • 幸福单车 厦门普通单车能否上空中自行车道?最强攻略来了——
  • 幸福单车 厦门普通单车能否上空中自行车道?最强攻略来了——

双向四车道 双向4车道变8车道,武黄高速要扩建了!

  • 双向四车道 双向4车道变8车道,武黄高速要扩建了!
  • 双向四车道 双向4车道变8车道,武黄高速要扩建了!
  • 双向四车道 双向4车道变8车道,武黄高速要扩建了!
车辆仪表盘 汽车仪表盘trip什么意思

车辆仪表盘 汽车仪表盘trip什么意思

表示里程小计。它测量用户每次行驶的公里数,而行程键左侧的数据表示车辆的总行程数。   Trip表示此阶段清除前的里程。如果您想重新记录里程,可以按下并重置。左边的里程代表汽车的总行程,不能重置。行程可以清零,所以可以用来测量两地的里程,也可以用来计算平均油耗。 汽车里程表由两个液晶数字显示窗口连接...

许昌凡人网车辆违章 凡人义举 中原正气——出差遇劫匪 仗义不留名

  • 许昌凡人网车辆违章 凡人义举 中原正气——出差遇劫匪 仗义不留名
  • 许昌凡人网车辆违章 凡人义举 中原正气——出差遇劫匪 仗义不留名
  • 许昌凡人网车辆违章 凡人义举 中原正气——出差遇劫匪 仗义不留名
 特斯拉回应遭维权女车主起诉 继续全力推动车辆检测事宜

特斯拉回应遭维权女车主起诉 继续全力推动车辆检测事宜

5月6日,天目新闻记者从河南特斯拉维权车主张女士处了解到,她将民事起诉特斯拉(上海)有限公司、特斯拉汽车(北京)有限公司以及特斯拉公司全球副总裁陶琳。张女士表示,特斯拉公司以及特斯拉对外事务副总裁陶琳在没有任何证据的情况下,发布的一些不实言论已经对她个人及其家人的工作生活造成了严重的影响。“为维护自己的合法权益,已于今日向安阳市北关区人民法院递交民事起诉状,要求依法追究相关人员的法律责任。”张女士...